-
-
Khám phá -
15/11/2013 | 12:00
(Genk.vn) - Discovery News đưa ra bảng thống kê so sánh mức độ kinh hoàng của siêu bão Haiyan với thảm họa sóng thần Ấn Độ Dương.
-
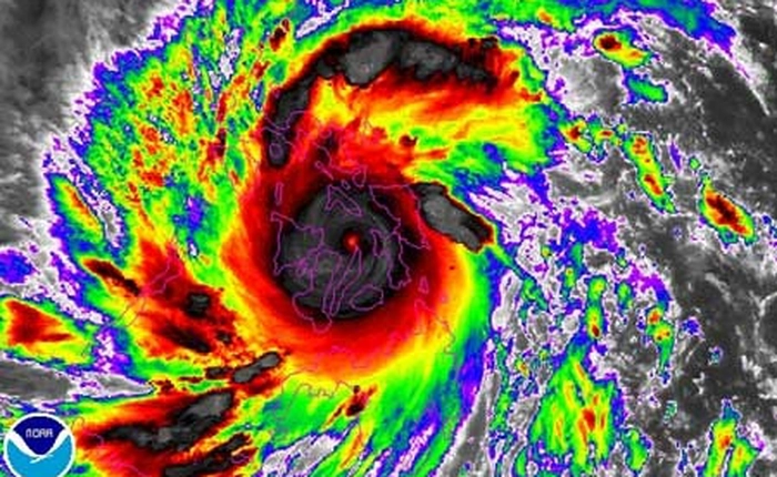
Khám phá -
14/11/2013 | 17:00
(Genk.vn) - Siêu bão Haiyan là thảm họa nhân tạo, do công nghệ phát xung vi ba của Mỹ gây ra?
-
Media -
11/11/2013 | 09:43
Mức độ tư nhân hóa cao đối với truyền thông nước này gây nhiều khó khăn cho hoạt động cảnh báo và hướng dẫn cộng đồng.
-
Internet -
10/11/2013 | 22:53
(GenK.vn) - Siêu bão Haiyan đã trở thành tâm điểm chú ý của người dân cả nước.
-
Tin ICT -
10/11/2013 | 00:34
(GenK.vn) - Nhà mạng và ứng dụng OTT cập nhật thông tin siêu bão Haiyan thường xuyên tới người dùng.